Skip to content

Explore all content

Explore the content of this site using the filters below to display different categories of information – Item Types, and their sub categories.
When you are looking for specific items of interest, use the search tools; enter keywords in the basic search on the landing page or in the header, or the Search page where you can enter keywords and define search parameters.
3 results found
0 filters applied
Uncheck All / Check All
Download
Contact Us
Compare
Display as:
of 1
Skip to search block
Add or Restrict Keywords

Use these options to add or remove words from your search:

AND - the term must be included in any item returned.

OR - the term may be included in any item returned, but does not have to be present. Always relates to the previous keyword/s.
*Cannot follow after NOT.

NOT - the term must not be included in any item returned. Always refers only to this keyword.
*Cannot be followed by OR

To remove a keyword – click X.

To return to your original search terms – click Clear.

Update search
Clear
template is Document
Section of drain through Florence and Helen Streets, Teneriffe - 1887, 1891
template is Document
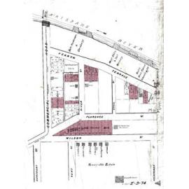
Plan showing new subdivision along Wilson Street, [now Chermside Street] Commercial Road and Vernon Terrace, Teneriffe - 1904
template is Document
Drainage of Commercial Road and Vernon Terrace, Teneriffe - 1904